Nearly one million evacuated as Super Typhoon Uwan barrels across PH

493 views · 5mo ago 🎲 Random

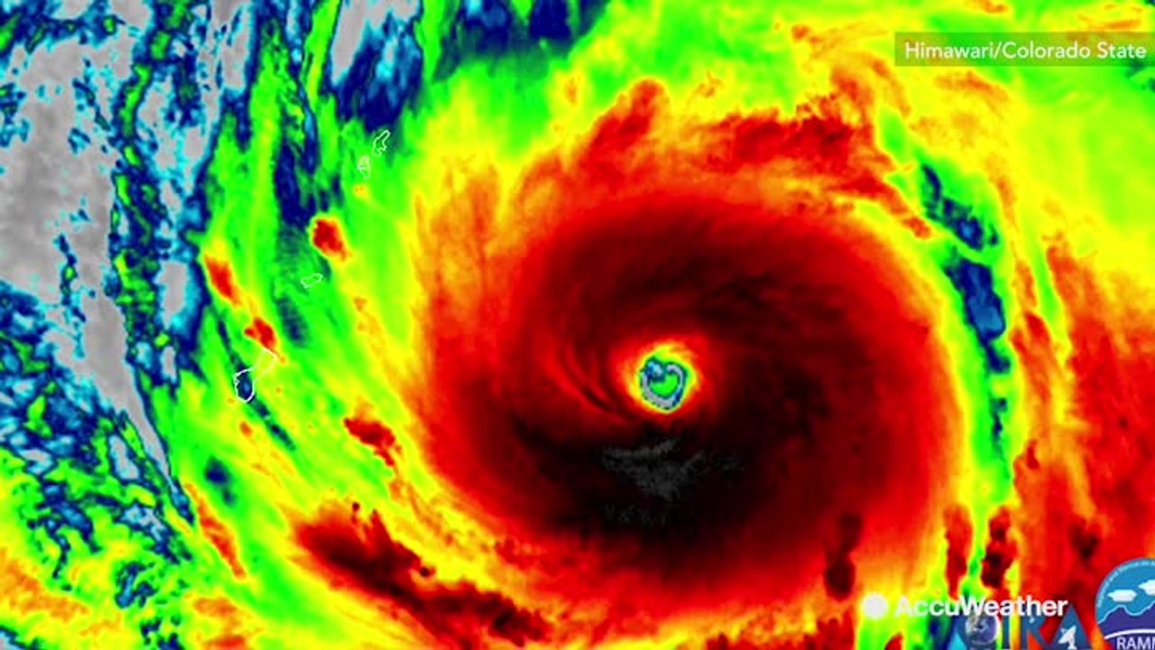
Nearly one million evacuated as Super Typhoon Uwan barrels across PH<br /><br />As Super Typhoon Uwan nears the Philippines, nearly a million people have been evacuated from their homes with floodwaters rising. <br /><br />Footage released by the Philippine Coast Guard shows residents of Jomalig island being taken to safety. <br /><br />The super typhoon has a radius spanning nearly the whole of the Philippines.<br /><br />PHILIPPINE COAST GUARD / AFP<br /><br /><br />Follow us:<br />Facebook - https://tmt.ph/facebook<br />Instagram - https://tmt.ph/instagram<br />Twitter - https://tmt.ph/twitter<br />DailyMotion - https://tmt.ph/dailymotion<br />Β <br />Subscribe to our Digital Edition - https://tmt.ph/digital<br />Β <br />Check out our Podcasts:<br />Spotify - https://tmt.ph/spotify<br />Apple Podcasts - https://tmt.ph/applepodcasts<br />Amazon Music - https://tmt.ph/amazonmusic<br />Deezer: https://tmt.ph/deezer<br />Tune In: https://tmt.ph/tunein<br />