LIVE Coverage: Hurricane Melissa Wreaks Havoc in Jamaica | Full Storm Updates N18G #NEWS

7 views · 5mo ago 🎲 Random

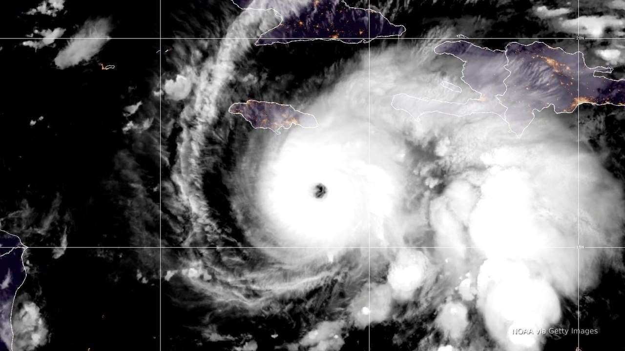
LIVE Coverage: Hurricane Melissa Wreaks Havoc in Jamaica | Full Storm Updates N18G #NEWS <br /><br />Catch LIVE Dailymotion updates on Hurricane Melissa, now tearing through Jamaica. <br />Experience intense visuals, reporter briefings, and real-time satellite tracking. <br />Stay informed and safe with N18G’s continuous live coverage and aftermath analysis. <br /><br />Your Query:- <br /><br />Dailymotion Live, Hurricane Melissa 2025, Jamaica Floods, Weather Tracker, <br /> Storm Report, N18G Broadcast, Breaking News Jamaica, Hurricane Path, Disaster Video, Tropical Storm <br /><br />Dailymotion Short video, dailymotion short, Dailymotion News, Dailymotion Live News, <br /> trending news, viral short, Breaking News, News, Trending News Live Stream , <br /> trending news live stream , Trending News Live , <br />The Trending News 10, the trending news 10 <br />News, NEWS, BREKING, Podcast, 24x7, Politics, <br /> <br />Live news today, <br />FOX News live stream, <br />24/7 breaking news, <br />Live US news, <br />FOX News now, <br />World news live, <br />Real-time headlines, <br />Political updates live, <br />FOX live channel, <br />Watch news online free, <br /><br /><br /><br />#HurricaneMelissa #DailymotionNews #LiveHurricane #JamaicaStorm #WeatherAlert <br /> #StormTracking #BreakingUpdates #N18G #CaribbeanDisaster #HurricaneLive <br /><br /> #short #shortvideo #bitchutehort #Breaking News #trending #viralshort #dailymotionviral <br />#DailymotionNewsshort #viralshort #news #TheTrendingNewslive <br /> #thetrendingnewslive #TheTrendingNews10 #thetrendingnews10 <br /><br />#reels #fbreels #trendingreel #viralreel <br />#LiveNews #BreakingNews #FOXNewsLive #24x7News #NewsLiveStream #bitchute #bitchuteshort <br />#FoxLiveStream #WorldNews #USNews #WatchLive #LiveNow #delimitation #shortdelimitation <br />#LiveBreakingNews #FoxHeadlines #PoliticsLive #FoxStream #shortvide #rumble #rumbleshort <br />#News #NEWS #BREKING #Podcast #24x7 #Politics #Current #Events #short, #youtube #short <br />#Headlines #Newsmax #Opinion #WashingtonDC #Congress #fbreels #viralreel #trendingreels <br /><br />