▶ DailyTube
Home 🎲 Random Trending Music Gaming

Claudia Sheinbaum alerta sobre el huracán 'Milton' y pide seguir recomendaciones

6 views · 1y ago 🎲 Random
Milenio
Milenio View Channel →

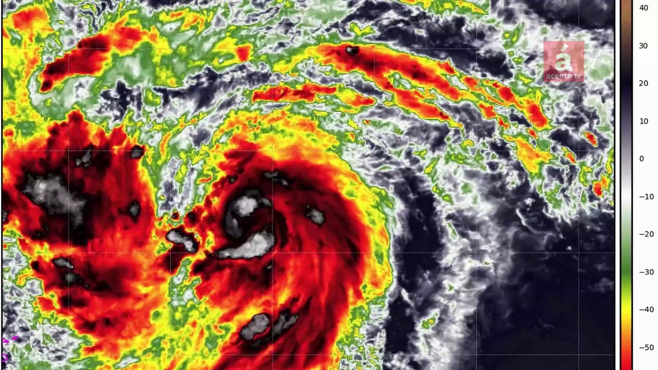
La presidenta Claudia Sheinbaum pidió a la población seguir las indicaciones de Protección Civil ante la amenaza del huracán Milton en Yucatán.

Related Videos

Claudia Sheinbaum alerta a Yucatán a tomar precauciones por Huracán Milton tras subir a categoría 5 1:06

Claudia Sheinbaum alerta a Yucatán a tomar precauciones...

MARCA México 212 views

Claudia Sheinbaum alerta a Yucatán sobre el huracán Milton 0:26

Claudia Sheinbaum alerta a Yucatán sobre el huracán Mil...

Imagen Noticias 2 views

Estas son las recomendaciones de experto en prevención de desastres ante la llegada del huracán Idalia a Florida 11:51

Estas son las recomendaciones de experto en prevención ...

NTN24 38 views

Huracán Milton: cónsul paraguayo insta a seguir recomendaciones de evacuación 16:35

Huracán Milton: cónsul paraguayo insta a seguir recomen...

Canal ABC TV 0 views

Claudia Sheinbaum "no pintará su raya" con AMLO a pesar de las recomendaciones de los analistas 2:43

Claudia Sheinbaum "no pintará su raya" con AMLO a pesar...

El Financiero 0 views

Claudia Sheinbaum se dice abierta a recomendaciones de dejar a titulares de la Cofepris y el IMSS 0:51

Claudia Sheinbaum se dice abierta a recomendaciones de ...

El Economista 8.5K views

Huracán Erin hoy: impacto, pronóstico y recomendaciones para RD | Alerta meteorológica 2025 1:41

Huracán Erin hoy: impacto, pronóstico y recomendaciones...

Acento TV 1.5K views

Claudia Sheinbaum abre la puerta a recomendaciones de AMLO sobre titulares en salud 1:32

Claudia Sheinbaum abre la puerta a recomendaciones de A...

Milenio 819 views

¡Alerta! Conoce las recomendaciones que da Protección Civil ante huracán 'Erick' 2:10

¡Alerta! Conoce las recomendaciones que da Protección C...

Milenio 1 views

Claudia Sheinbaum se dice abierta a recomendaciones de dejar a titulares de la Cofepris y el IMSS 0:53

Claudia Sheinbaum se dice abierta a recomendaciones de ...

El Economista 4.1K views

Claudia Sheinbaum emite recomendaciones ante la caída de ceniza en la CdMx 0:54

Claudia Sheinbaum emite recomendaciones ante la caída d...

Milenio 245 views

Claudia Sheinbaum no descarta que huracán 'Milton' toque tierra en Yucatán 1:29

Claudia Sheinbaum no descarta que huracán 'Milton' toqu...

Milenio 0 views

▶ DailyTube

Discover amazing videos from around the world

Browse

Home 🎲 Random Video Trending Music Films

Categories

Gaming Sport News Tech

More

Entertainment Comedy Travel Sitemap

Powered by Dailymotion API · 2026 DailyTube