▶ DailyTube
Home 🎲 Random Trending Music Gaming

Depresión tropical en el Pacífico Sur genera alertas en Guerrero y Oaxaca

775 views · 1y ago 🎲 Random
Milenio
Milenio View Channel →

La Comisión Nacional del Agua informó sobre la formación de la depresión tropical diez en el Pacífico Sur, ubicada a 265 km de Oaxaca y 280 km de Guerrero, activando las alertas en ambos estados.

Related Videos

Depresión tropical 2-E causará lluvias en la costa sur del Pacífico mexicano 0:50

Depresión tropical 2-E causará lluvias en la costa sur ...

Excélsior TV 0 views

Agatha se debilita a depresión tropical; ocasionará lluvias torrenciales en Oaxaca, Veracruz, Tabas 1:32

Agatha se debilita a depresión tropical; ocasionará llu...

El Universal 506 views

Claudia Sheinbaum alerta a Oaxaca y Guerrero por el avance de la depresión tropical Once-E 0:24

Claudia Sheinbaum alerta a Oaxaca y Guerrero por el ava...

Imagen Noticias 60 views

Se esperan lluvias intensas en las costas de Oaxaca y Chiapas por depresión tropical 1:12

Se esperan lluvias intensas en las costas de Oaxaca y C...

El Universal 8 views

Guerrero suspenderá clases por depresión tropical y fuertes lluvias | Noticias con Francisco Zea 0:28

Guerrero suspenderá clases por depresión tropical y fue...

Imagen Noticias 1 views

Fuertes lluvias en el centro y sur de Nuevo León por depresión tropical Tres, alerta Conagua 3:00

Fuertes lluvias en el centro y sur de Nuevo León por de...

Milenio 3 views

Continúan lluvias en Guerrero y Michoacán; tormenta tropical 'Bárbara' avanza sobre el Pacífico 5:54

Continúan lluvias en Guerrero y Michoacán; tormenta tro...

Milenio 1 views

Se forma la tormenta tropical Narda; se esperan lluvias intensas en Oaxaca y Guerrero 1:23

Se forma la tormenta tropical Narda; se esperan lluvias...

El Economista 5.4K views

PC de Oaxaca alerta por impacto de tormenta tropical; prevén lluvias e inundaciones 1:40

PC de Oaxaca alerta por impacto de tormenta tropical; p...

Milenio 5 views

Huracán John se intensifica a categoría 2; Oaxaca y Guerrero en alerta por lluvias extraordinarias 1:02

Huracán John se intensifica a categoría 2; Oaxaca y G...

El Economista 809 views

Blas' dejará lluvias torrenciales en Guerrero y Oaxaca, alerta el SMN 1:01

Blas' dejará lluvias torrenciales en Guerrero y Oaxaca,...

Milenio 435 views

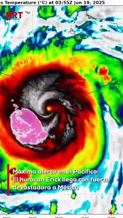
El huracán Erick se ha intensificado a categoría 4 y ya ha tocado tierra en las costas de Oaxaca y Guerrero. Autoridades mantienen la alerta máxima por lluvias torrenciales, vientos intensos y alto oleaje. 0:27

El huracán Erick se ha intensificado a categoría 4 y ya...

NRT México 1.5K views

▶ DailyTube

Discover amazing videos from around the world

Browse

Home 🎲 Random Video Trending Music Films

Categories

Gaming Sport News Tech

More

Entertainment Comedy Travel Sitemap

Powered by Dailymotion API · 2026 DailyTube